土地 武蔵村山市中央3丁目
所在地
武蔵村山市中央3丁目
2,330万円
61.67坪
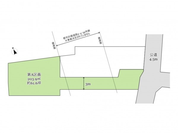
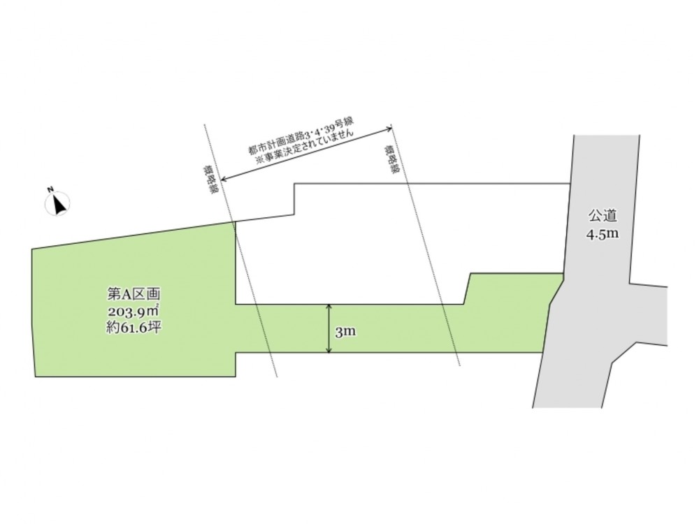
61.6坪の広々とした敷地!敷地延長ですが並列2台駐車可能です!
セブン-イレブン武蔵村山本町1丁目店:徒歩9分(700m)
オザム村山店:徒歩13分(1000m)
クリエイトS・D武蔵村山三ツ藤店:徒歩13分(1000m)
村山中藤保育園櫻:徒歩7分(500m)
物件概要
- 交通
-
多摩モノレ 上北台駅 バス20分乗車 バス停武蔵村山市役所 まで 徒歩4分
- 接道状況
- 土地面積
- 203.90㎡ (61.67坪)
- 建ぺい率
- 40%
- 容積率
- 80%
- 土地権利
- 所有権
- セットバック
- 無し
- 小学校区
- 第一 ( 260m )
- 中学校区
- 第一 ( 850m )
- 私道負担
- 建築条件
- なし
- 地目
- 畑
- 現況
- 更地
- 引渡時期
- 即時
- 上水道
- 下水道
- ガス
- 都市計画
- 市街化区域
- 用途地域
- 1種低層
- 設備・条件
- 上下水道、プロパンガス
- 備考
-
都市計画道路(立3・4・39号武蔵砂川駅榎線)が本地敷地内に計画されていますが現時点において事業決定されていません。
本敷地内の道路と接する部分に市の設置したU字溝の一部が施工されておりますが多少敷地内へ越境していますが現状のまま引渡しとなります。公費での撤去予定はありません。
地目が畑の土地は農地法5条届け出と受理が必要です。
電線が道路に沿って敷地内上空を通過しています。
売主にて施工した隣地塀の控え壁が境界内にありますが現状のまま引渡しになります。 - 取引態様
- 仲介

